
De stoomtramremise van Katwijk. Er zijn erg weinig foto's van deze remise bekend. Maar ook de datum waarop deze foto gemaakt is en de fotograaf zijn onbekend. De foto komt uit de collectie van Dick van der Spek.

Na elektrificatie en verdubbeling van het doorgaande spoor, bleef er zeer weinig van het eerdere remiseterrein over. Foto via De Oude Blauwe Tram.

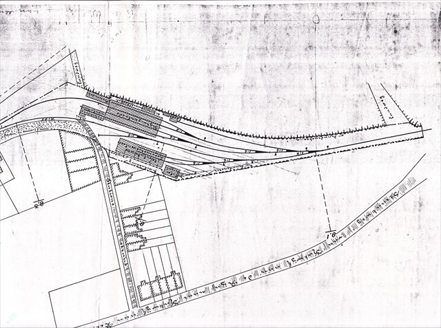
Ter referentie: de lay-out van het remiseterrein toen er nog stoomtrams reden. Via De Oude Blauwe Tram.
Deze Remise
[LK] Deze remise ligt aan de tramlijn Leiden-Katwijk, welke door de Rijnlandsche Stoomtramweg-Maatschappij (RSTM) geopend werd op 4 juni 1881. Dat gebeurde vooral om het tourisme in de badplaats te ontwikkelen. Al op 1 juni 1883 werd de lijn overnomen door de Hollandsche IJzeren Spoorweg Maatschappij (HIJSM/HSM). Deze lijn had op het stuk Leiden-Oegstgeest medegebruik van het al bestaande netwerk van de NZHS(T)M, maar behield de eigen remise in Katwijk. De strenge winter van 1890/1891 hielp bij het ontwikkelen van vrachtvervoer via de tram, omdat dit met de boot door dichtgevroren waterwegen stil kwam te liggen.
De HTM nam de hele stoomtramlijn over op 1 juli 1909 en begon aan een lang verbeteringstraject. Ze elektrificeerde de hele 9 kilometer lange tramlijn, waarna deze vanaf 1 juni 1911 doorging als elektrische tramlijn. In Rijnsburg kwam een remise en werkplaats in gebruik genomen die de oude remise in Katwijk verving, en het spoor erheen vanuit Leiden werd dubbelsporig. In de Oegstgeester Leidschebuurt werd een grote bottleneck opgeheven en in Rijnsburg en een deel van Katwijk werd het spoor rechtgetrokken waardoor de tram veel sneller kon rijden. Het zeer nauwe kruip-door-sluip-door traject rond de Kerkstraat in Katwijk aan den Rijn is echter altijd blijven bestaan, zodat de tram daar maar 5 kilometer per uur kon blijven rijden.
Normaal reed er om het half uur een tram vanuit Leiden naar Katwijk en weer terug. De rit tussen de eindpunten duurde ook ongeveer een half uur. De lijn werd uiteindelijk op 7 oktober 1960 samen met die naar Noordwijk opgeheven.
Algemeen Ten Noorden van en parallel aan een deel van de Zeeweg / Tramstraat loopt nu de Remisestraat, als aandenken aan de remise die hier vroeger stond.
Waar vind ik de cache?
De cache ligt op het gepubliceerde coördinaat
Over deze tramlijncache
Deze cache maakt onderdeel uit van de tramlijncaches die gepubliceerd worden als onderdeel van de Block Party "SideTracked - Valkenburg (ZH)".
.